Jeszcze w tym tygodniu na skrzyżowaniu al. Wojska Polskiego z ul. Zegadłowicza, Miodową, i Kupczyka zamiast ronda pojawi się sygnalizacja świetlna.

Jak poinformowało dziś miasto, wprowadzanie zmian w organizacji ruchu rozpocznie się w najbliższy piątek, 7 czerwca, o godz. 21:00.

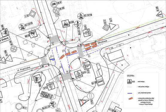
– Ze skrzyżowania zniknie minirondo, wprowadzone tam na okres jesienno – zimowy i ponownie włączona zostanie sygnalizacja świetlna. Ma to związek ze zwiększonym ruchem pieszych i rowerzystów w tym rejonie w okresie letnim – wyjaśnia Paulina Łątka z Urzędu Miasta.

Jednocześnie zaplanowano dodatkową korektę oznakowania poziomego na wlocie ul. Miodowej. Jak przekonuje magistrat, ma to zwiększyć przepustowość skrzyżowania dla samochodów. – Pas ruchu zostanie tam poszerzony tak, aby możliwe było ustawienie pojazdów w dwóch rzędach, odpowiadających dalszemu kierunkowi jazdy – na wprost i w prawo lub w lewo – tłumaczy Łątka. – Dzięki temu pojazdy oczekujące na wykonanie manewru skrętu w al. Wojska Polskiego nie będą blokować pojazdów zmierzających w stronę ul. Kupczyka i ul. Zegadłowicza. Zmiana ta ma znacząco poprawić warunki przejazdu od strony ul. Miodowej – zaznacza.

W związku z wprowadzanymi zmianami kierowcy proszeni są o zachowanie szczególnej ostrożności w piątkowy wieczór oraz pierwsze dni po włączeniu sygnalizacji świetlnej. Rejon skrzyżowania będzie na bieżąco monitorowany przez służby.